Podosphaera aphanis(PODOAP)
Photos
For publication in journals, books or magazines, permission should be obtained from the original photographers with a copy to EPPO.
Powdery mildew infection on strawberry (Province of Salerno — October 2025)
Courtesy: Dr. Valentino De Rosa
Powdery mildew infection on strawberry (Province of Salerno — October 2025)
Courtesy: Dr. Valentino De Rosa
Powdery mildew infection on strawberry (Province of Salerno — October 2025)
Courtesy: Dr. Valentino De Rosa
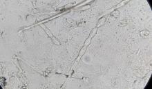
Microscopic observations of conidia and conidiophores (Province of Salerno — October 2025)
Courtesy: Dr. Valentino De Rosa
Microscopic observation of germinating conidia. (Province of Salerno — October 2025)
Courtesy: Dr. Valentino De Rosa
Microscopic observations of conidia and conidiophores. (Province of Salerno — October 2025)
Courtesy: Dr. Valentino De Rosa
Microscopic observations of conidia and conidiophores (Province of Salerno — October 2025)
Courtesy: Dr. Valentino De Rosa
Microscopic observations of conidia and conidiophores (Province of Salerno — October 2025)
Courtesy: Dr. Valentino De Rosa
Microscopic observation of germinating conidia. (Province of Salerno — October 2025)
Courtesy: Dr. Valentino De Rosa
Microscopic observations of conidia and conidiophores (Province of Salerno — October 2025)
Courtesy: Dr. Valentino De Rosa
Microscopic observation of germinating conidia. (Province of Salerno — October 2025)
Courtesy: Dr. Valentino De Rosa
Microscopic observation of germinating conidia. (Province of Salerno — October 2025)
Courtesy: Dr. Valentino De Rosa
Microscopic observation of germinating conidia. (Province of Salerno — January 2026)
Courtesy: Dr. Valentino De Rosa
Powdery mildew on fruit. Raised achenes and tissue damage. Province of Salerno (January 2026)
Courtesy: Dr. Valentino De Rosa
Powdery mildew on fruit. Raised achenes and tissue damage. Province of Salerno (January 2026)
Courtesy: Dr. Valentino De Rosa

